Am 6. Dezember 2010 um 8:35 Uhr geht es endlich los nach Colon in Panama. Wir wissen, dass die Fahrt schwierig werden kann, denn vor uns ist ein Tief und hinter uns ist schon das nächste vorhergesagt. Und vor diesem Tief aus Norden, welches starken Wind und hohe Wellen mitbringen würde, müssen wir Colon erreicht haben. Da die Meerestiefe vor Colon sehr stark abnimmt, werden diese Wellen zusätzlich aufgestaut und machen daher eine Ansteuerung durch die Wellenbrecher vor Colon mit unserem kleinen Segelboot sehr schwierig bis unmöglich. Wir konnten aber auch nicht mehr länger in Curacao warten, damit wir rechtzeitig für Michis Ankunft aus Wien eingelaufen sind. Nach einer Motorpartie bis zum späten Nachmittag können wir schließlich Segel setzen. Der Spaß wird uns aber durch ein nahe vorbei ziehendes Gewitter gründlich verdorben. Die erste Nachtruhe wird auch durch jede der hohen Wellen, die das Boot immer wieder seitwärts legen, stark gestört.

Die nächsten Tage verlaufen ruhig und wir kommen gut voran. Wir laden jeden Tag über Amateurfunk mit Pactormodem die Wetterdateien auf unser Notebook herunter, um notfalls ausweichen zu können oder zumindest zu wissen, was uns bevorsteht. Die letzten beiden Tage und Nächte werden wegen der sehr steilen Wellen des vorherigen Tiefs nochmals sehr ungemütlich. Wir können Colon aber noch rechtzeitig vor dem nächsten Tief erreichen und am Tag nach unserer Ankunft vom sicheren Hafen aus beobachten, wie die Wellen sogar über die Wellenbrecher hinweg gehen.

Am Rückweg vom Marinabüro läuft Eric Sonja von der Molimentum über den Weg. Sonja und David aus Wien sind etwa gleichzeitig mit uns gestartet, aber von der Atlantikküste und nicht aus dem Mittelmeer. Sie hätten heute durch den Panamakanal fahren sollen, der jedoch erstmalig seit seinem fast 100-jährigen Bestehen, wegen der Unwetter gesperrt wurde. Wir verbringen einen lustigen Abend miteinander an Bord der Molimentum. Am nächsten Tag ist der Kanal wieder offen und sie können in den Pazifik fahren.
Es ist die Zeit für Wiedersehen. Zwei Tage später treffen wir Michael von der Mirmel, den wir auch zuletzt auf Gomera gesehen hatten. Wir tauschen unsere Erlebnisse aus und er gibt uns auch viele gute Tipps zu Kuna Yala (San Blas Inseln), wo er gerade einen Monat verbracht hatte.

Der wiener Michi hat leider sein Flugzeug verpasst und wir sind die nächsten Tage beschäftigt, umzuplanen und einen neuen halbwegs vernünftigen Flug für ihn zu finden. Dadurch verlieren wir viel Zeit, unsere Erledigungsliste abzuarbeiten. Außerdem liegt die Marina sehr abgelegen und es gibt nur in der Früh einen kostenlosen Shuttlebus zu einem Einkaufszentrum in Colon, das schon bessere Tage gesehen hat. Die Fahrt kann bis zu einer Stunde dauern, da der Weg über die Gatun-Schleuse des Panamakanals führt. Diese wird gesperrt, wenn gerade Schiffe geschleust werden. Zweimal sehen wir riesige Kreuzfahrtschiffe in der Schleuse warten, die so breit sind, dass rechts und links nur mehr wenige Zentimeter Platz bis zur Schleusenmauer sind.
Nach Michis Ankunft machen wir zunächst einen Großeinkauf an Lebensmittel, da es in Kuna Yala nur die Grundnahrungsmittel für die Indios zu kaufen gibt. Unsere Campinggasflaschen können wir erstmalig nicht auffüllen lassen, wie sich später heraus stellt, war das aber eine Fehlinformation der Marina. Michael von der Mirmel nennt uns Yogi, einen Deutschen, der auf einem Boot in den East Lemmon Keys lebt und Gasflaschen für die Segler auffüllt.

Am Samstag vor Weihnachten segeln wir los und ankern am Abend in Portobello, das und dessen Umgebung wir am nächsten Tag kurz besichtigen. Montag morgen nach dem Frühstück bemerken wir plötzlich einen ungebetenen Gast. Eine lange dünne grüne Schlange hat es sich auf der Reling gemütlich gemacht. Wir rätseln, ob sie wohl giftig ist, haben aber nicht die geringste Ahnung. Also wird sie mal fotografiert. Eric und Michi sind ganz begeistert, nur ich sterbe vor Angst. Besonders als Eric den Bootshaken nimmt und versucht, sie zum Gehen zu überreden. Da sie hier aber so schön in der Sonne liegen kann, will sie uns nicht verlassen. Doch Eric fährt mit dem Bootshaken in die Schlaufe, die sie bildet und stupst sie zurück ins Meer. Bevor sie auf die Idee kommt, zurückzukehren, lichten wir den Anker und setzen unsere Fahrt nach Kuna Yala fort.
Michi hat nach seiner Rückkehr das Foto einem Schlangenfan gezeigt, der sie als grüne Mamba identifiziert hat, eine der giftigsten Schlangenarten weltweit. Laut Internet kommt diese aber nur in Afrika vor, also wissen wir noch immer nicht, um welche Schlangenart es sich handelt. Mir wird trotzdem jetzt noch schlecht, wenn ich an Eric als Schlangendompteur denke.

Bei Isla Linton verbringen wir die nächste Nacht und bewundern den Vollmond.

Mittwoch durchqueren wir am Nachmittag das Außenriff von Kuna Yala. Wie schon in den Roques muss man auch hier sehr vorsichtig navigieren und genau die Farbe des Wassers im Auge behalten. Glücklicherweise ist dieses Gebiet aber von einem Deutschen, Eric Bauhaus, sehr gut kartografiert worden und wir können uns mit Hilfe seines Führers leichter orientieren.

Kuna Yala oder die San Blas Inseln, wie sie von den Spaniern benannt wurden, besteht aus mehr als 340 kleinen bis kleinsten Inselchen. Hier leben die Kuna-Indianer, die nach langen Kampf und stark dezimiert, die Autonomie erhalten haben. Auf vielen Inseln speziell weiter im Osten, leben sie noch total traditionell ohne Strom oder moderner Technik. Einige westlichere Inseln haben aber sogar Internet und auch Handys sieht man nicht selten. Hier tragen sie auch nicht nur die traditionelle Kleidung, Molas, das sind verschiedene bunte Stoffschichten übereinander, sondern auch Jeans. Die Molas werden von den Frauen in monatelanger Arbeit liebevoll hergestellt. Jedes Dorf wird von drei Sailas quasi Häuptlingen geführt, die auch für die Traditionspflege, Kultur, Medizin, Wissen usw. verantwortlich sind.

Wir müssen zunächst in Porvenir unsere Zarpe, das ist ein Dokument, das uns erlaubt von Colon nach Kuna Yala zu segeln, abgeben und 10 Dollar pro Person für den Eintritt nach Kuna Yala bezahlen. Auf der Insel Porvenir gibt es einen kleinen Militärstützpunkt, einen Flughafen, ein Hotel, eine Weihnachtskrippe und einen Weihnachtsbaum aus Draht.
Am nächsten Tag fahren wir mit dem Dinghi noch auf die kleine Nachbarinsel Wichubhuala, auf der sich eine Hütte an die nächste drängt. Indios in traditioneller und moderner Kleidung sitzen teils vor den Hütten oder beim Bier oder gehen ihrer Arbeit nach, Jugendliche spielen Beachvolleyball. Danach geht's weiter in die West Lemon Cays, um Yogi zu suchen.

Hier bei Elephant Island sind einige österreichische und deutsche Yachten vor Anker. Wir besuchen Fritz-the-cat, der in Wien einige Esslokale besessen hat und seit Jahren mit seinem Katamaran in der Karibik segelt. Auf Elephant Island gibt es nur eine Hütte, daran angeschlossen ein kleines Café. Überrascht lesen wir, dass es hier sogar Internet gibt oder besser gäbe, denn durch die Unwetter wurde die Richtantenne beschädigt. Deswegen kann uns auch Yogi, der auch ins Café kommt, kein Gas nachfüllen, da die einzige Straße die zu den Inseln führt wegen eines Erdrutsches unpassierbar ist. Aber vielleicht mañana (Morgen). Aber leider gibt es weder mañana noch am Tag nach mañana Gas. Also geben wir auf und segeln weiter Richtung East Lemon Cays, wo ein deutsches Seglerpaar Weihnachten feiern will.

Unterwegs halten wir bei Dog Island und schnorcheln bei einem Schiffswrack. Der Kapitän hatte es gerade noch geschafft, das angeschlagene Schiff auf eine Sandbank nächst dem Inselchen zu setzen, um Besatzung und Fracht zu retten. Auch eine Adler- und ein anderer Rochen wünschen uns frohe Festtage. Wir wissen nicht genau auf welchem Ankerplatz die beiden liegen. Der südliche und der bei Chichime sind uns aber zu überfüllt und wir sehen auch nicht das gesuchte Schiff. Neben einer unbewohnten Insel ist noch ein weiterer Ankerplatz verzeichnet, der auch etwas geräumiger erscheint. Wir haben Glück, denn hier liegen nur wenige Jachten, alle deutschsprachig sogar die beiden Schweden. Eric klopft bei der Mabuhay, einem schweizer Boot mit Marie Therese und Paul an Bord, von denen wir bereits von der Infinity gehört hatten, und fragt, ob eine gemeinsame Weihnachtsfeier geplant ist. Ja, auf der Insel gibt es ein Lagerfeuer und jeder bringt sein Essen, Trinken und vielleicht auch etwas für die Allgemeinheit mit. Wir sind natürlich herzlich willkommen, wenn wir daran teilnehmen wollen.
Es wird ein vergnüglicher Abend mit extrem nette Leute. Dabei sind unter anderem noch Helga und Rene von der Amigo, Annemarie und Helmut von der AnnaX sowie Stefan, der alleine mit seinem Kater unterwegs ist. Eine Palme wurde mit leeren Bierdosen als Weihnachtsbaum dekoriert, ein Einsiedlerkrebs zur Krippe erklärt. Ein wunderschöner Sonnenuntergang begrüßt den Heiligen Abend.

Ab dem nächsten Tag gießt es in Strömen. Mit dem Dinghi fangen wir 200l Wasser in ca. zwei Tage auf und können damit unsere Wassertanks wieder randvoll füllen. Trotzdem ist es warm genug, um Schwimmen zu gehen. Nur zum Schnorcheln ist zu wenig Licht. Glücklicherweise haben wir in Venezuela einen Regenschutz für das Cockpit nähen lassen und können so auch im Freien gemütlich sitzen. Am 29. fahren wir zurück nach Elephant Island, um nochmals wegen Gas nachzufragen. Aber leider ist die Straße noch immer gesperrt. Dafür hören wir, dass es ein Silvesterbuffett für 10$ pro Person geben und anschließend eine Kunahochzeit stattfinden würde. Wir bleiben hier und werden auch belohnt. Das Verpflegungsboot kommt vorbei und wir können Obst, Gemüse und sogar ein Hähnchen kaufen. Fisch und Langusten erwerben wir sehr günstig von den einheimischen Fischern. Ein leckeres Neujahrsessen ist somit gesichert.
Nach Sonnenuntergang findet sich eine internationale Seglergemeinschaft ein. Nach dem köstlichen Essen findet die Hochzeit statt. Zunächst werden abwechselnd die Braut und der Bräutigam von ihren Freunden dreimal zu einer Hängematte getragen, bis zum Schluss beide darin liegen bleiben. Dann kommt der Saila, der Häuptling, und hält eine Rede. Ein anderer Kuna übersetzt sie für uns. Der Saila gibt Tipps, wie man eine gute Ehe führt und wie man sich in der Kunagemeinschaft zu verhalten hat. Danach hält ein Verwandter des Brautpaares eine weitere Rede. Zum Schluss wird die Hängematte geschlossen und das Brautpaar sich selbst überlassen.
Bald danach ist Mitternacht und wir stoßen auf ein gutes Jahr 2011 an. Wunderkerzen und die Fetzenpuppe werden entzündet. Ein Kanadier greift zu seiner Gitarre, seine Freunde singen und mit kanadischen Chansons klingt die Silvesternacht harmonisch aus.

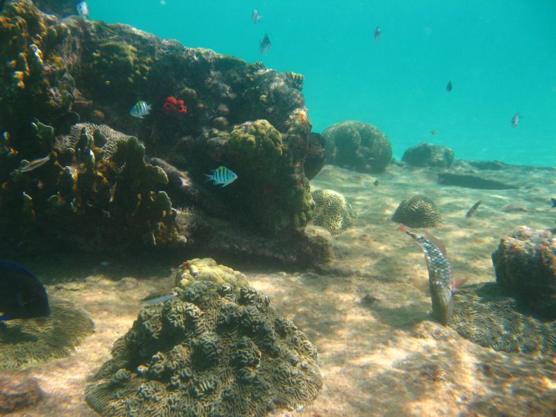
Am Neujahrstag verlegen wir uns in den Süden von Chichime und erkunden die Insel. Zwei Tage später fahren wir in die Central Holland Cays. Durch die Riffe hindurch suchen wir uns ein abgelegenes sicheres Plätzchen. Es ist wunderschön hier. Neben uns ist eine kleine palmenbewachsene Insel und das klarste Wasser, das man sich vorstellen kann. Wir erkunden mit dem Dinghi die nähere Umgebung und gelangen zu einem richtigen Kinderswimmingpool. Am Boden liegt Sand und das Wasser geht uns gerade bis zu den Knien. Wir wollen bis zum Außenriff wandern, zuletzt ist die Strömung aber so stark, dass nur Eric und Michi weitergehen können. Danach fahren wir zwischen zwei kleinen Inseln hindurch, ein Rochen schwimmt vorbei und wir gehen an den kleinen unberührten Sandstrand. Hier kommt richtiges Südseefeeling auf. Am Rückweg halten wir zum Schnorcheln und sehen einige giftige Skorpionfische. Die Biologiestunde endet damit, dass wir einen Seestern auf den Rücken drehen und beobachten, wie er sich im Zeitlupentempo wieder umdreht.
Am nächsten Tag klettert Eric in den Mast, um den Radarreflektor, der sich auf die Seite gedreht hat, wieder zu richten und ein paar Fotos von oben zu machen.

Da wir unser Gasproblem noch immer nicht gelöst haben, fahren wir nach Nargana, einer größeren Kuna-Gemeinde in der Nähe des Festlands. Unterwegs begegnen wir einem Fischer, der mit einem typischen Kuna-Segelboot unterwegs ist und erstehen einige Langusten. Wir versuchen auch zu fischen, aber leider verhängen sich Angelhaken und Köder in einer Untiefe. Wir versuchen zwar durch mehrmaliges Hin- und Herfahren den Angelhaken zu befreien, müssen dann aber die Leine durchschneiden und beides opfern.
In Nargana gibt es einige winzige Greisslerläden, wo wir wieder Obst und Gemüse kaufen können. Hier gibt es auch Angelhaken und der Besitzer erklärt uns, wie Kuna fischen. Man steckt die Schäfte zweier Angelhaken in eine durchsichtige dünne Röhre, er verwendet dafür einen abgeschnittenen etwa 10cm langen Plastikstrohhalm und bindet das an eine Angelschnur. Das wirft man hinter dem Dinghi ins Wasser und spult die Leine von einer Plastikrolle, die man in der Hand hält, ab. Das ist alles. Wir bedanken uns und gehen weiter. Beim Bäcker gibt es kleine Weckerln. Gas und Trinkwasser sind aber nicht erhältlich. Wir können nur mit dem Dinghi in den nahen Fluss fahren und dort Wasser schöpfen, denn die Wasserleitung ist gebrochen. Da wir noch nicht so dringend Wasser benötigen, verzichten wir darauf. Gas bekommen wir von Annemarie und Helmut von der Anna X, die uns ihre Notgasflasche überlassen. Wir danken ihnen sehr dafür.
Auch in Nargana und ihrer durch eine Brücke verbundene Schwesterstadt Corazon de Jesus reiht sich Hütte an Hütte. Es gibt aber auch einige Steinhäuser hier, die Kirche, die Bank, die Schule und andere Amtsgebäude. In der Bank kann man nicht einfach Geld beheben. Dafür müssen die Kuna eine Genehmigung beim Saila beantragen, erst dann bekommen sie Geld ausbezahlt. In der Schule soll es auch Internet geben, das auch Segler benutzen dürfen, wegen der Ferien ist die Schule jedoch geschlossen.
Am nächsten Tag steuern wir eine weitere Inselgruppe an, die Coco Bandero. Hier soll man auch Haie sehen können. Zunächst begrüßt uns aber eine Gruppe Delfine. Die Coco Bandero sind sehr beliebt wie die sehr zahlreich ankernden Boote beweisen.
Michi und Eric testen unsere neue Angelmethode und fangen tatsächlich einen kleinen Fisch. Beim Fischer erstehen wir einen weiteren und Michi brät die Filets für Abendessen, Kopf und Schwanz werden zur morgigen Suppe verkocht.
Und endlich haben uns auch Virginia und Jose von der Caps III, die wir in Venezuela kennengelernt haben, wieder eingeholt. Wir freuen uns sehr über das Wiedersehen. Sie sind gerade erst in Kuna Yala angekommen und wollen mehrere Monate hier verbringen. Daher müssen wir uns allzu schnell wieder trennen, da wir langsam zum Festland zurück müssen, damit Michi sein Flugzeug erreichen kann.
Wir verbringen einige nette Tage miteinander. Virginia und Michi verwöhnen uns abwechselnd mit ihren Kochkünsten. Auch von ihnen bekommen wir eine halbvolle Gasflasche, das reicht jetzt bis Colon.
Wir gehen schnorcheln, sehen aber nur einen kleinen Hai. Dafür ist die Strömung sehr stark und es ist mühsam sich nicht zwischen den vielen Riffen zu verirren. Einmal erschreckt mich ein riesiger Fisch, weil ich an einen Hai denke, aber es ist nur ein harmloser Riesenbarsch. Das ist mir auch viel lieber als ein Hai, denn wer weiß, ob der Hai wirklich weiß, dass ich ihm nicht schmecke und ein bisschen kostet ;-).
Eric und Michi, die fleißig und erfolgreich nach Kunaart fischen, bringen einmal anstelle eines Fisches eine ziemlich verschreckte Fledermaus mit. Sie zittert am ganzen Körper. Wir setzen sie auf einen Arbeitshandschuh ins Cockpit. Bei Sonnenuntergang ist sie dann verschwunden.
Am 11. Jänner lichten wir wieder den Anker, übernachten und erkunden Morbedup, halten kurz bei Kuanidup, wo sich ein Hotel befindet, stoppen in Porvernir, zum auschecken und ankern wieder bei Chichime.
Zwei Tage später verlassen wir schweren Herzens Kuna Yala, von dem wir kaum ein Zehntel gesehen haben.

Auf der Rückfahrt nächtigen wir wieder bei der Isla Linton. Danach erreichen wir Portobello. Wir erfahren, dass es hier gute Busverbindungen nach Panama City gibt und Michi das teure Taxi aus der Shelter Bay Marina sparen könnte. Wir testen die Verbindung und fahren mit dem Bus zur Umsteigestelle nahe Colon. Dort gibt es auch einen großen Supermarkt und wir können einige Lebensmittel, die uns ausgegangen sind, nachkaufen. Wir erkundigen uns nach dem Schnellbus nach Panama City. Er fährt auch am Sonntag regelmäßig und Michi entscheidet sich für den Mittagsbus.
Am nächsten Tag bringen wir Michi zum Bus. Die Busse in Panama sind alte Pullman-Busse, die von den Fahrern individuell ausgeschmückt werden. Viele sind mit bunten Graffiti vollkommen bemalt. Nach Michis Abschied spazieren wir durch den Ort, der ziemlich heruntergekommen ist. Zu Zeiten der spanischen Konquistadoren war Portobello eine wichtige Hafenstadt, von der das geraubte Gold nach Europa verschifft wurde. Jetzt sind die Festungen und Hafenanlagen verfallen. Zusätzlich ist bei den Unwettern vom Dezember ein Hang abgerutscht und hat ein oder zwei Häuser mitgerissen. Ob auch Personen zu Schaden kamen, wissen wir leider nicht. Die größte Sehenswürdigkeit ist das Altarbild mit dem schwarzen Jesus in der Kirche. Nach einem sehr billigen aber ausgezeichneten Mittagessen kehren wir zurück an Bord. Wir verbringen einen ruhigen Nachmittag und eine ebensolche Nacht. Morgens nach dem Frühstück segeln wir nach Colon.